U$S 355,000

~29,700,000 ₽ / U$S 440/m2

Площадь, м²

807

Тип

Земля

более

1 год назад

Просмотры

3054

Vendo Terreno En Rakiura Country Club

VENDO TERRENO EN RAKIURA COUNTRY CLUB

Máxima seguridad las 24 hs, calles interiores muy tranquilas, y vivirán a pasos de las mejores canchas de tenis y golf del país, academia ecuestre y pista hípica, entre otras actividades únicas.

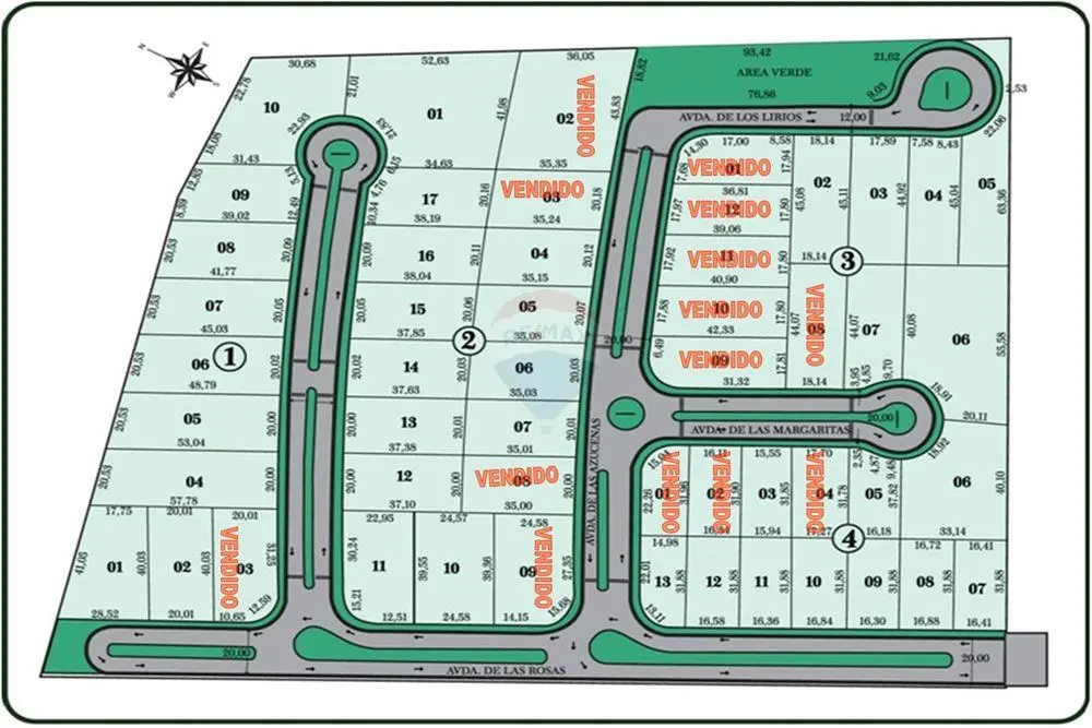
Lote 8 de la Manzana 1 ; 807 m2 de terreno ideal para una hermosa Y exclusiva residencia!

Gran terreno con 20 metros de frente , metros cuadrados totales 807 m2

Ubicado estratégicamente a 10 minutos del nuevo centro comercial y corporativo de Asunción.

6 hectáreas de aire puro rodeado de naturaleza, 40% de la urbanización dedicada a áreas comunes.

El country Cuenta con: Doble avenida de Hormigón, Sistema eléctrico y fibra óptica subterráneo,

Areas comunes y club house

Parque infantil, Canchas de fútbol, ​​Cámaras de alta tecnología y sistema de guardias 24hs, Pórtico con barreras inteligentes,

Servicio de Jardineria, Agua potable tanque de 50.000litros ,

Desagüe cloacal, Cercos perimetrales y sensor de movimiento,

Transformador de media tensión

Характеристики

ID

Тип

Площадь, м²

785278

Продажа

807

Земля, м²

Ссылка

Обновлено

807

PF104A

2024-09-05

Район

355к U$S

Район

Central

Адрес

Luque

Дополнительные действия

REMAX EXECUTIVE
098...314
595...314
Похожие объекты
Загрузка...
Зарабатывайте деньги привлекая коллег!

Приглашайте других агентов по недвижимости и получайте 10% комиссии с каждого их продвижения.