Luque, Ykua Karanday, Luque, Paraguay

U$S 550,000

~44,900,000 ₽

Площадь, м²

10

Тип

Земля

более

3 недель назад

Просмотры

87

Vendo Terreno De Una Hectarea En Luque

ENDO AMPLIO TERRENO de 1 Hectárea en LUQUE

Barrio Ycuá Karanday
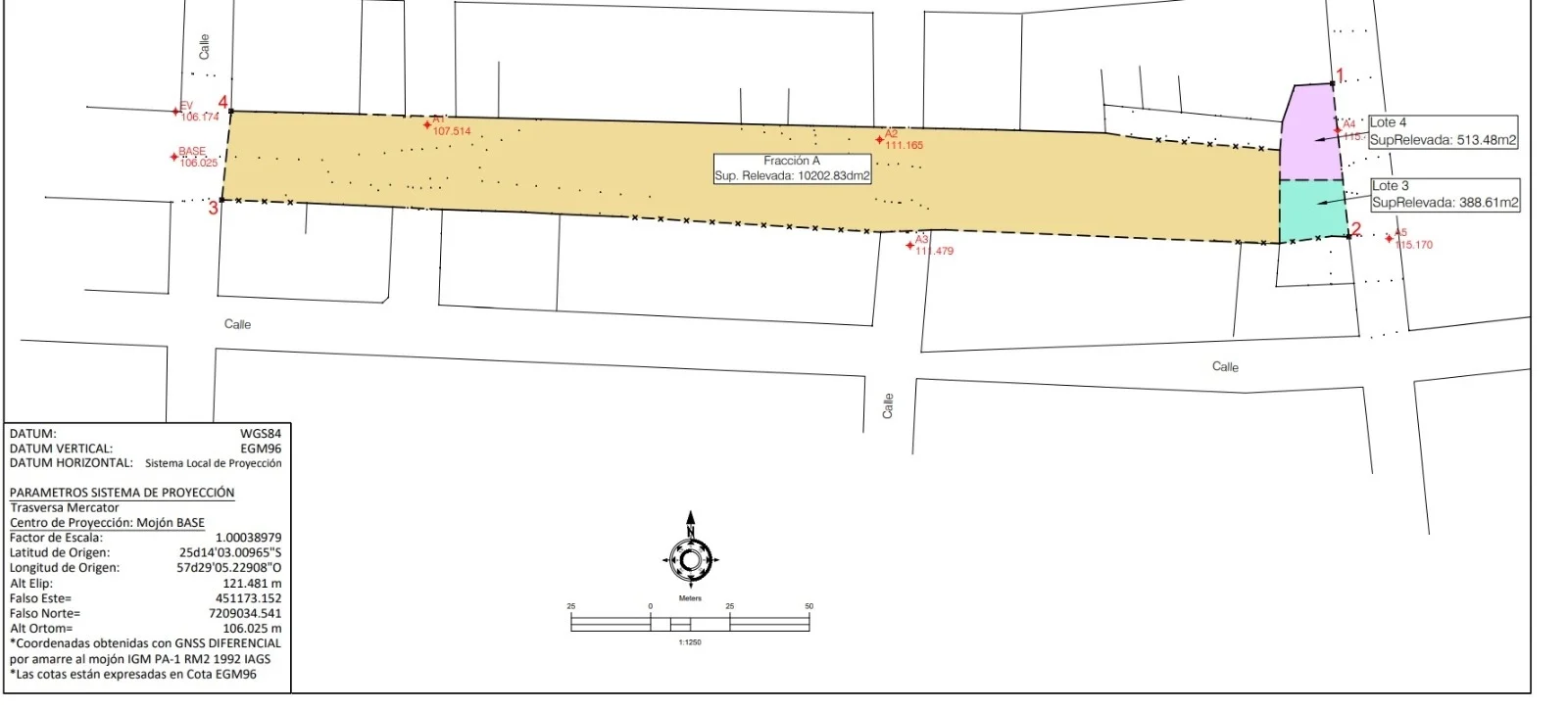
10.468,5m2
Ideal para Barrio Cerrado
Estratégicamente ubicado:
* A 2 cuadras de Biggie Villa Policial
* A 2 cuadras de la Avenida Mayor Ignacio Vera
* A 3 minutos del Complejo Habitacional Óga

La propiedad tiene un diseño en forma de T con 2 terrenos con amplios al frente (902 m2) para poder construir un acceso importante con Sala de Recepción, Garita de guardia y estacionamiento de Visitas.
El terreno permite una amplia gama de creatividad para construcción de Duplex y Chalets en diferentes tipologías
Posee 324metros de extensión x 30 metros de ancho para construcción de vivienda,s más 2 fracciones al lado de la otra otra, sumando ambas 902,09 m2

Total Superficie: 10.468,5 m2

https://maps.app.goo.gl/5br3WAnZsHLCUmyM9?g_st=iw

Характеристики

ID

Тип

Площадь, м²

1435763

Продажа

10

Земля, м²

Ссылка

Обновлено

10472

OM8184C

2026-03-12

Район

550к U$S

Район

Central

Адрес

Luque, Ykua Karanday, Luque, Paraguay

Дополнительные действия

Carolina Vega
098...075
595...075
Похожие объекты
Загрузка...
Operador/a de Marketplace Inmobiliario – Asuncion Estate

Ищем оператора маркетплейса недвижимости. Удалённая работа полный день.