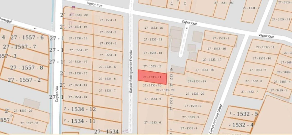
Luque, Zona Azúl Rubi Sur, Doctor José Gaspar Rodríguez De Francia, Luque, Paraguay

Gs. 380,000,000

~4,480,000 ₽ / Gs. 1,055,556/m2

Площадь, м²

360

Тип

Земля

более

4 месяцев назад

Просмотры

331

En Venta Terreno En Tercer Barrio Luque

EN VENTA TERRENO EN TERCER BARRIO LUQUE

¡Excelente oportunidad de inversión en Luque!

Amplio terreno con una ubicación privilegiada en la ciudad de Luque

Ubicada en una zona residencial del tercer barrio de Luque, a 1 cuadra de Campo Vía y a 5 cuadras de la Avenida Capitán Andrés Insfrán.

A metros del centro de Luque, con fácil acceso a San Lorenzo y a 20 minutos del Eje Corporativo.

Características:

Superficie de 360 metros cuadrados

12 metros de frente y 30 metros de fondo

Zona residencial

Sin construcción y totalmente limpio y nivelado

Calle sin salida, con varios dúplex y residencias alrededor.

Ideal para construcción de Dúplex, vivienda propia o otros proyectos.

Apta para crédito bancario.

Documentos listos para transferir

No dejes pasar esta oportunidad. Contacta ahora para más información o agendar una visita.

Acepta Créditos:

No

Id: 36219

Характеристики

ID

Тип

Площадь, м²

Вся постройка, м²

1250740

Продажа

360

360

Земля, м²

Ссылка

Обновлено

3602

WB5E3A

2025-09-15

Район

380м Gs.

Район

Central

Адрес

Luque, Zona Azúl Rubi Sur, Doctor José Gaspar Rodríguez De Francia, Luque, Paraguay

Дополнительные действия

Century 21 Prestigio
+595971161010
Похожие объекты
Загрузка...
Зарабатывайте деньги привлекая коллег!

Приглашайте других агентов по недвижимости и получайте 10% комиссии с каждого их продвижения.