San Bernardino, San Bernardino, Paraguay

U$S 804,825

Gs. ~5,220,000,000 / U$S 315/m2

M² edificados

2555

Tipo de Propiedad

Terreno

hace más de

2 semanas

Vistas

65

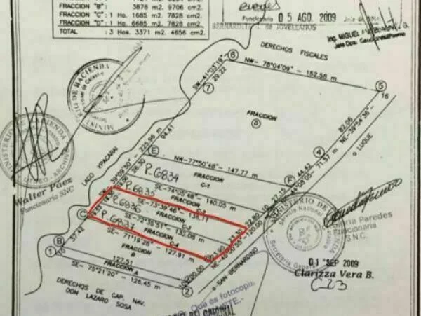
Terreno En Venta Ciervo Cua, San Bernardino

HERMOSO Terreno SOBRE EL LAGO YPACARAÍ y sobre ruta LUQUE-SAN BERNARDINO

Zona CIERVO CUA.

Inmejorable Ubicación‼

C-4

Sup: 2.555 m2

Al Norte: 132 mts

Al Sur: 127.9 mts

Al Este: 23.9 mts

Al Oeste: 19.5 mts

Precio: USD.804.825 (a USD.315/m2)

ID: 1842

Detalles de la Propiedad

ID

Tipo de Propiedad

Tipo de Operación

1431993

Terreno

Venta

M² del terreno

Referencia

Actualizado

25552

G4CD91

2026-03-09

Ubicación

804.8к U$S

Ubicación

Cordillera

Dirección

San Bernardino, San Bernardino, Paraguay

Acciones Adicionales

SKY ONE Cplus
098...484
595...484
Objeto similar
Cargando...
Operador/a de Marketplace Inmobiliario – Asuncion Estate

Buscamos Operador/a de Marketplace Inmobiliario. Trabajo remoto jornada completa.